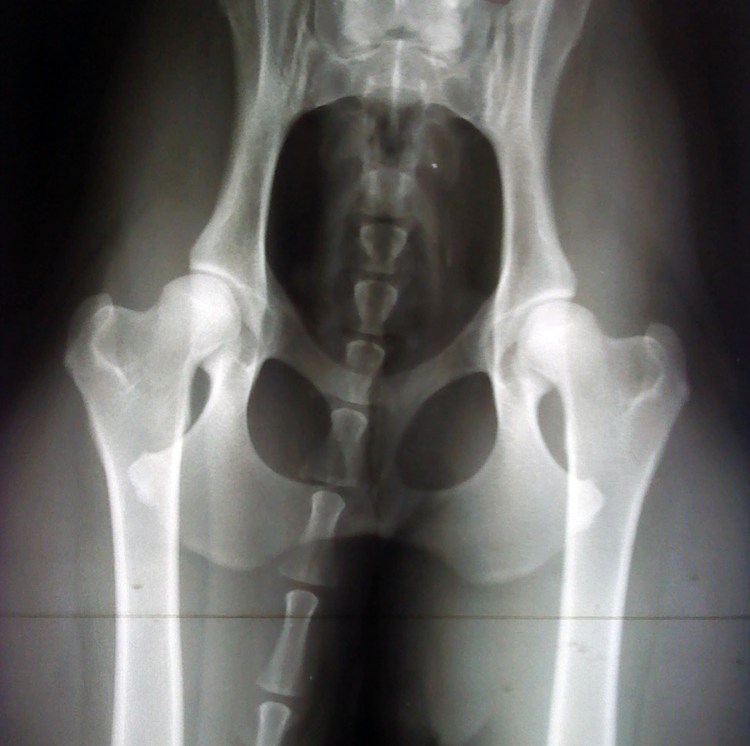
Ikväll styrde jag och Simon till Knivsta veterinärklinik för att röntga Ozelots höfter och vaccinera hela tasshögen!
Hade blivit tipsad av Eva K att åka just dit för att de är kända för att ta bra bilder. De var verkligen proffsiga – det hela gick snabbt och smidigt. Lugnande, upp på bordet och *snapp*. Snart hängde plåtarna på väggen och resultatet kan ni se nedan 😀 :
Nu ligger världens finaste Ozzka nedanför bordet, fortfarande lite sluddrig. Skall ta det lugnt både ikväll och imorgon, men sedan blir det full rulle igen!
I helgen är det Kumla BK och Linköpings BK som gäller – tävlingspsykologi och hoppteknik. Skall bli en härligt hundig helg med mycket hundfolksmöten – kul!!
Vaccineringen?
Snabbt och pipfritt – nu är vi redo!!

Grattis!
Kram M
GillaGilla
Inga problem. Jag återkommer till dig så snart jag fått tag på alla tänkbara personer ang. Norra Djurgården. 🙂
Alltid lika spännande med höftledsröntgen – men bilden ser fin ut!
Nettan
GillaGilla
Tack för en kul och trevlig eftermiddag i Kumla! Du är en mycket duktig föreläsare, inspirerande! High five 😀
GillaGilla
Åsa – vad kul att du blev inspirerad! Nu jäklar!! 😀
Nettan – Verkligen super!
Syrran – YES!! 😀
GillaGilla
Grattis! såg att det blev stort A 🙂
GillaGilla
HURRA!! Tack för att du sa till Eva!!! 😀 Bästa Eva kram
GillaGilla